Ultherapy PRIME
-

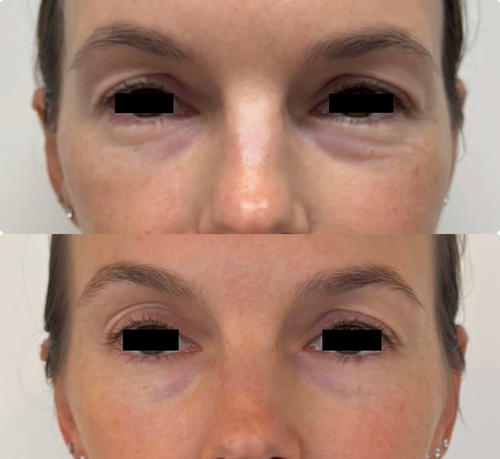
2.5 months after one Ultherapy PRIME session for brow lift and improvement of droopy eye
-

2.5 months after one session of Ultherapy PRIME to her jawline
Location
400 South Beverly Drive Suite 380
Beverly Hills, CA 90212
Hours
Monday — Friday
9am — 5pm